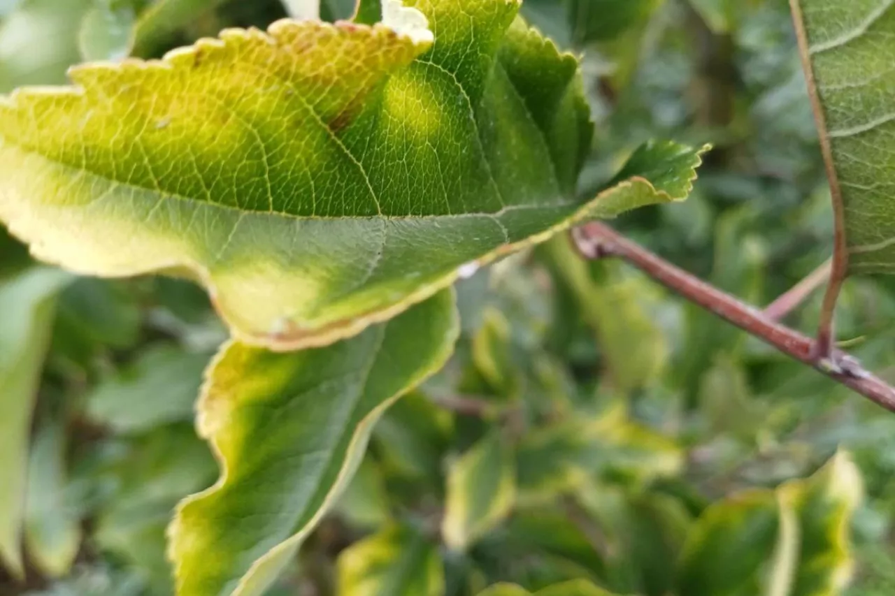
Jeden z Czytelników zaniepokojony nietypowymi objawami przesłał nam kilka zdjęć. Liście pochodzą z drzew odmiany Gala. Z czego mogą wynikać przebarwienia? O poradę poprosiliśmy Marcina Piesiewicza.
– Rzeczywiście, w ostatnim czasie sadownicy często podpytują o możliwe przyczyny takich objawów. Sam obserwuję podobne zjawisko również we własnym sadzie. Według literatury są to oznaki niedoboru potasu, jednak nie jest to jednoznaczna odpowiedź. Część sadowników obstaje przy magnezie – wyjaśnia M. Piesiewicz. Według niego najczęściej problemy dotyczą Gali i Szampiona z kwater na glebach lekkich, łatwo przepuszczalnych.
– Zauważyłem też, że niedobory występują tam, gdzie plonowanie było wysokie, a nawadnianie intensywne. Bardzo możliwe, że doszło do wypłukania składników pokarmowych w głąb profilu gleby. Jeśli w naszych sadach widzimy liście z takimi przebarwieniami, trzeba obserwować rozwój sytuacji. Na pewno zalecam wykonanie analizy gleby w kwaterach z objawami niedoborów, bo problem może się pogłębiać. Z pewnością nie we wszystkich sadach przyczyna problemu jest taka sama – mówi.
Jeszcze jedna obserwacja ważna obserwacja – tam, gdzie widzimy niedobory na liściach, owoce słabiej się wybarwiały.
– Kłopoty z odpowiednim wybarwieniem mogą być związane z potasem. Jednak z drugiej strony mniej magnezu (składnik chlorofilu) również wpływa na wybarwienie owoców. Opinie są podzielone: jedni mówią o braku potasu, drudzy o magnezie. Ja skłaniam się ku potasowi. Jednak bez względu na przyczynę podkreślę jeszcze raz konieczność wykonania analizy gleby. To rozwieje wszelkie wątpliwości – podsumowuje doradca i sadownik.


