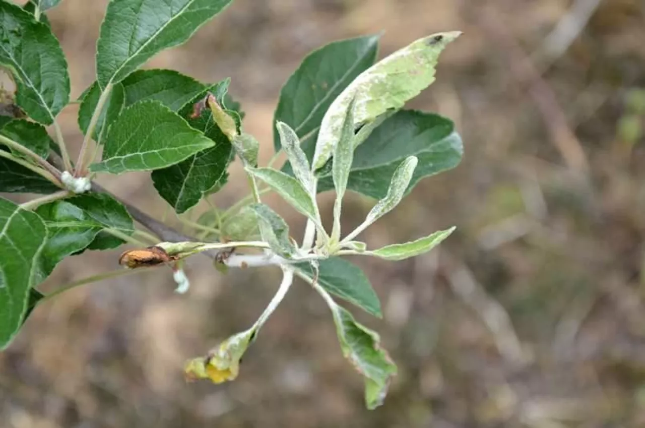
W wielu sadach obserwujemy dosyć intensywny rozwój sprawcy mączniaka jabłoni. Wiosenne chłody ograniczyły proces infekowania nowej pojawiającej się tkanki. W sadach gdzie grzybnia mączniaka jabłoni rozwijająca się na rozetach liściowych i kwiatowych porażonych w ubiegłym roku nie została zwalczona, potencjał infekcyjny tej choroby nadal jest bardzo wysoki.
Zapowiadane ocieplenie będzie sprzyjało infekowaniu młodej tkanki dlatego obecnie ochrona przed mączniakiem powinna być skupiona na produktach, które będą ograniczały zarodnikowanie grzybni i kiełkowanie zarodników konidialnych na podatnej tkance.
Zapowiadane ocieplenie będzie sprzyjało infekowaniu młodej tkanki dlatego obecnie ochrona przed mączniakiem powinna być skupiona na produktach, które będą ograniczały zarodnikowanie grzybni i kiełkowanie zarodników konidialnych na podatnej tkance.
Analizując przebieg warunków pogodowych należy brać pod uwagę konieczność wykonania zabiegu przed spodziewanymi opadami na przełomie tego i następnego tygodnia. Warto zastosować produkt o działaniu zapobiegawczym przed sprawcą parcha jabłoni, który będzie również skuteczny przeciwko mączniakowi.
Od tego roku w uprawie jabłoni i grusz możemy stosować nowy fungicyd Luna Care 71,6 WG. W uprawie grusz stosujemy go w dawce 3 kg/ha (1 kg na 1 ha na 1 metr wysokości drzewa), w uprawie jabłoni, po kwitnieniu, w dawce 2 kg/ha (0,67 kg na 1 ha na 1 metr wysokości drzewa).
Na poniższym wykresie prezentujemy wyniki badań prowadzonych w 2019 r. w Sadowniczej Stacji Badawczej, w których porównywano skuteczność poszczególnych fungicydów w ochronie jabłoni przed infekcjami wtórnymi mączniaka jabłoni. Najwyższą skuteczność osiągnęły produkty z grupy Luna: Luna Care 71,6 WG* oraz Luna Experience 400 SC. Porażenie liści na poletkach kontrolnych wynosiło ponad 40%.

*Luna Care – w jabłoni stosowanie przeciwko parchowi
Właściwości preparatu
Luna Care jest fungicydem nowej generacji o różnych mechanizmach działania, polegających, m.in. na wspomaganiu naturalnej, systemicznej odporności roślin. Zawiera fluopyram z grupy SDHI (znany z produktu Luna Experience) oraz fosetyl glinu, będący do tej pory składnikiem aktywnym jedynie prepratu Alliete 80 WG. Kompozycja tych dwóch substancji daje całkowicie nowe możliwości w ochronie drzew ziarnkowych przed sprawcami chorób grzybowych oraz bakteryjnych. Fluopyram wykazuje właściwości zapobiegawcze i interwencyjne w ochronie przed gatunkami grzybów należącymi do rzędu Ascomycetes – tj. sprawcami takich chorób, jak: mączniaki prawdziwe, parch, drobna plamistość liści, kędzierzawość liści, rak drzew owocowych, zgorzele kory, gorzka zgnilizna, biała plamistość liści, szara pleśń, brązowa plamistość liści gruszy.
Dopełnieniem ochrony przed wymienionymi chorobami jest aktywność fosetylu glinu, który wykazuje dodatkowo działanie ochronne przed grzybami z rzędu Oomycetes (fytoftorozy) oraz bakteriami, m.in. Pseudomonas syringae (sprawca raka bakteryjnego) oraz Erwinia amylovora (sprawca zarazy ogniowej).
Schemat działania preparatu
Schemat działania Luna Care jest wielokierunkowy, co czyni ochronę jeszcze skuteczniejszą. Fosetyl glinu jest aktywnie pobierany przez liście (oraz korzenie) i transportowany zarówno z młodszych do starszych, jak i ze starszych do młodszych liści.
Fosetyl glinu oprócz pośredniego działaniu w postaci indukcji odporności wykazuje również działanie bezpośrednie w stosunku do patogenów m.in. poprzez hamowanie kiełkowania zarodników czy ograniczanie wzrostu grzybni.
Efekt ochrony opartej na naturalnych systemach obronnych roślin jest wydłużony w czasie co pozwala na ograniczenie liczby zabiegów. Luna Care daje możliwość efektywnej i szczelnej ochrony przeciwko parchowi jabłoni. Po jej zastosowaniu w wydłużonych odstępach czasu (co 10 dni) w porównaniu do zabiegów produktami standardowymi stosowanymi dwa razy częściej.
Jak stosować Luna Care?
Przez ostatnie kilka lat wykonano wiele badań oceniających nie tylko skuteczność, również selektywność dla roślin preparatu Luna Care stosowanego solo oraz w mieszankach zbiornikowych. Poniżej kilka głównych zaleceń:
- Nie stosujemy Luna Care na odmianach Golden Delicious i jej mutantach;
- Nie stosujemy Luna Care w mieszaninach z produktami miedziowymi (należy również zachować kilkudniowy odstęp między zabiegiem Luna Care, a produktem na bazie miedzi);
- Nie stosujemy Luna Care w mieszaninach z produktami olejowymi, nawozami oraz regulatorami wzrostu (w tym z produktami do przerzedzania zawiązków);
- Należy również zachować ostrożność w okresach gwałtownych spadków temperatury i nie wykonywać zabiegu produktem Luna Care przed czy bezpośrednio po przymrozkach;
- Nie należy wykonywać zabiegu produktem Luna Care na mokre liście;
- BARDZO WAŻNE – stosując mieszaniny zbiornikowe produktu Luna Care z produktami o formulacji SC należy zachować odpowiednią kolejność mieszania: najpierw do zbiornika napełnionego w połowie wodą dodajemy preparat w formulacji SC, a dopiero potem wlewamy wcześniej rozpuszczony produkt Luna Care
W poniższej tabeli prezentujemy przykładowe mieszaniny, które zostały sprawdzone w doświadczeniach prowadzonych w Sadowniczej Stacji Badawczej, zarówno na jabłoniach. jak i na gruszach. Kolor zielony oznacza mieszankę kompatybilną i bezpieczną dla drzew.

PODSUMOWUJĄC, Luna Care będzie obecnie, przed spodziewanymi opadami deszczu, bardzo dobrym rozwiązaniem, zabezpieczającym drzewa jabłoni oraz grusz przed sprawcą parcha, mączniaka, a także raka drzew owocowych oraz przed chorobami bakteryjnymi.
Tekst: Szymon Jabłoński, wykres i tabela – materiały firmy Bayer, fot. archiwum
