Plantacje porzeczki czarnej i czerwonej w zależności od odmiany znajdują się w różnej fazie rozwoju owoców, tj.:
- Porzeczka czarna: odmiany wczesne (‘Tisel’) – wzrost zawiązków, BBCH 77, odmiany średniowczesne (‘Ruben’) – wzrost zawiązków, BBCH 75;
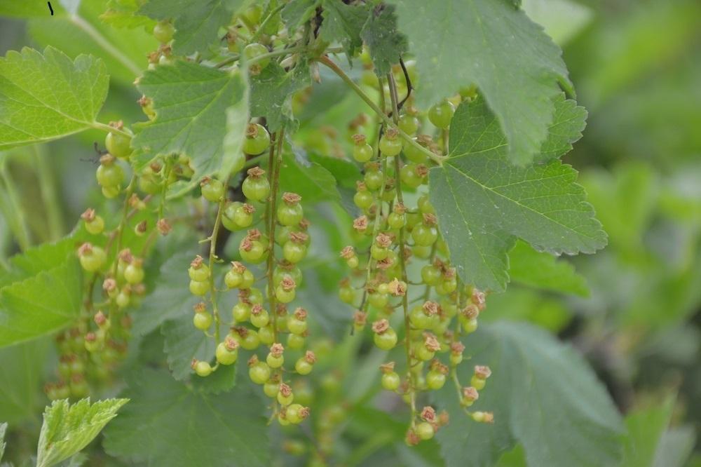
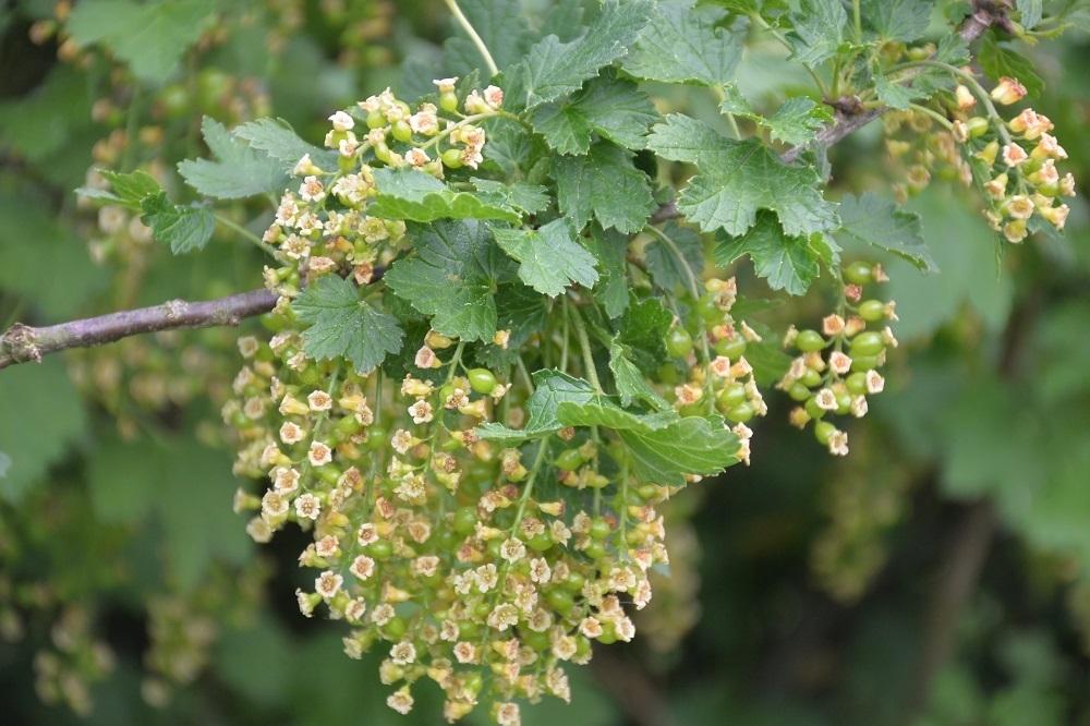
- Porzeczka czerwona: odmiany średniowczesne (‘Rolan’) – wzrost zawiązków BBCH, 75 i średniopóźne (‘Rovada’, ‘Rondom’) – wzrost zawiązków, BBCH 73.
Fot. 1 ‘Tisel’ – wzrost zawiązków, BBCH 77 (28.05.2022 r.)
Fot. 2. ‘Ruben’ – wzrost zawiązków, BBCH 75 (28.05.2022 r.)
Fot. 3. ‘Rolan’ – wzrost zawiązków, BBCH 75 (28.05.2022 r.)
Fot. 4. ‘Rondom’ – wzrost zawiązków, BBCH 73 (28.05.2022 r.)
Szkodniki
- Wielkopąkowiec porzeczkowy – na plantacjach porzeczki czarnej, czerwonej i białej, na których stwierdzono obecność szkodnika wykonać zabieg preparatem Movento 100 SC – stosować po kwitnieniu, w okresie od początku rozwoju owoców do fazy zaawansowanego dojrzewania (BBCH 71–85), w dawce 0,75 l/ha;
- Zwójka różóweczka (obecna) – wykonać lustrację – próg zagrożenia wynosi 10% wierzchołków pędów z uszkodzonymi liśćmi spośród próby 200 wierzchołków pędów. Po przekroczeniu progu zagrożenia na plantacjach porzeczki czarnej, czerwonej i białej zabieg jednym ze środków opartych o indoksakarb (substancja wycofywana w 2022 r., można ją stosować do 19.09.2022 r.) – stosować od początku fazy, gdy pąki kwiatowe są zamknięte w jasnobrązowe łuski, do końca fazy dojrzałości zbiorczej owoców (BBCH 51–87), w dawce 0,17 kg/ha lub spinosad – stosować od fazy pąków kwiatowych do końca fazy dojrzewania owoców (BBCH 51–89), w dawce 0,32–0,4 l/ha.
- Przędziorek chmielowiec (obecny) – lustracje należy prowadzić co 1–2 tygodnie. Próg zagrożenia w okresie po kwitnieniu do zbioru owoców wynosi 3 formy ruchome na liść z próby 200 losowo zebranych liści. Po przekroczeniu progu zagrożenia zabieg praparatem Movento 100SC – w okresie od początku rozwoju owoców do fazy zaawansowanego dojrzewania BBCH (71–85), w dawce 0,75 l/ha. Alternatywnym zabiegiem niezwłocznie po pojawieniu się pierwszych objawów występowania szkodników w okresie od fazy rozwoju liści do fazy, gdy owoce są dojrzałe do konsumpcji (BBCH 10-89), jest zabieg preparatem Fitter, w stężeniu 1%, ilość wody 400–1000 l/ha. Oprysk należy wykonać po trzy zabiegi w odstępach 7-dniowych.
- Mszyce (obecne) – lustracje wykonywać co 2 tygodnie od początku kwitnienia do zbioru owoców – próg zagrożenia wynosi 10% zasiedlonych pędów z próby 200 sztuk. Po przekroczeniu progu zagrożenia zabieg preparatem Movento 100 SC – stosować po kwitnieniu, w okresie od początku rozwoju owoców do fazy zaawansowanego dojrzewania BBCH (71–85) w dawce 0,75 l/ha. Niezwłocznie po pojawieniu się pierwszych objawów występowania szkodników (BBCH 10–89) zastosować preparat Fitter w stężeniu 1%, ilość wody 400-1000 l/ha. Oprysk należy wykonać po trzy zabiegi w odstępach 7-dniowych.
- Pryszczarek porzeczkowiak liściowy (nieobecny) – należy prowadzić lustracje, sprawdzając obecność larw szkodnika na 200 losowo wybranych pędach. Progiem zagrożenia jest 10% zasiedlonych wierzchołków pędów. Po przekroczeniu progu zagrożenia zabieg preparatem Movento 100 SC stosować po kwitnieniu, w okresie od początku rozwoju owoców do fazy zaawansowanego dojrzewania BBCH (71–85) w dawce 0,75 l/ha.
Fot. 5. Objawy żerowania zwójki różóweczki na pędach porzeczki czerwonej (28.05.2022 r.)
Fot. 6. Objawy żerowania mszycy porzeczkowo-czyściecowej na liściach porzeczki czerwonej odmiany ‘Rondom’ (28.05.2022 r.)
Choroby
- Antraknoza (opadzina liści) porzeczki (obecna) – preparat Luna Sensation 500 SC stosować zapobiegawczo lub od pierwszych objawów choroby, od początku kwitnienia do zbiorów owoców (BBCH 39–87), w dawce 0,6–0,8 l/ha lub preparat Zato 50 WG stosować od pierwszych objawów choroby lub po zbiorach owoców, w dawce 0,2 kg/ha lub preparaty miedziowe stosować bezpośrednio przed kwitnieniem, zaraz po kwitnieniu aż do zbiorów (BBCH 59–81), w dawce 3,0 kg/ha;
- Amerykański mączniak agrestu (obecnie nie stwierdzono objawów) – choroba rozwija się najlepiej podczas suchej, ciepłej pogody, która sprzyja zarodnikowaniu grzyba oraz rozprzestrzenianiu się zarodników konidialnych. W okresie wegetacji pierwsze mączyste plamy na liściach i pędach pojawiają się na początku czerwca. Amerykańskiego mączniaka agrestu zwalczają wymienione wyżej Luna Sensation 500 SC i Zato 50 WG oraz Serenade ASO – stosować zapobiegawczo od fazy przed kwitnieniem do końca fazy zaawansowanego dojrzewania owoców (BBCH 51–85), w dawce 8 l/ha;
- Szara pleśń (obecnie nie stwierdzono objawów) – oprócz wymienionych wyżej preparatów Luna Sensation 500 SC i Serenade ASO do zwalczania szarej pleśni można zastosować Teldor 500 SC – od fazy widocznych pierwszych pąków kwiatowych (zbite grono) obok rozwiniętych liści, jak również ze względu na krótki okres karencji, tuż przed i pomiędzy zbiorami (BBCH 55–89), w dawce 1,5 l/ha.
