Plantacje porzeczek czarnych i czerwonych w zależności od odmiany znajdują w różnej fazie kwitnienia.
Porzeczka czarna:
odmiany wczesne (‘Tisel’) – pełnia kwitnienia, BBCH 65;
odmiany średniowczesne (‘Ruben’) – początek kwitnienia ok. 10% kwiatów otwartych BBCH 61;
Porzeczka czerwona:
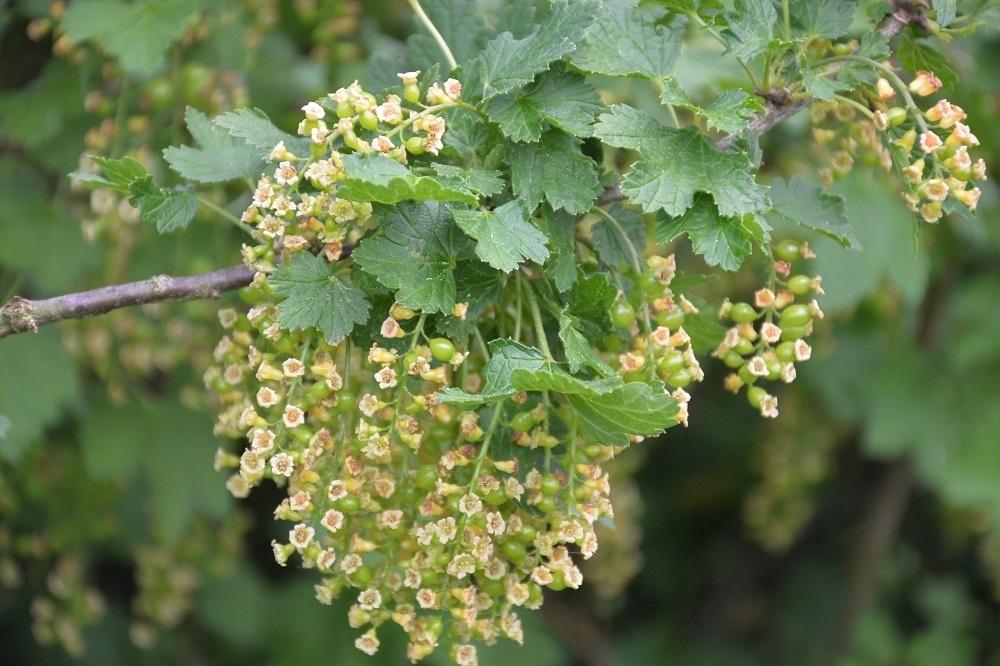
odmiany średniowczesne (‘Rolan’) i średnio późne (‘Rovada’, ‘Rondom’) – przed pełnią kwitnienia/pełnia kwitnienia, BBCH 65.
Fot. 1. ‘Tisel’ - pełnia kwitnienia, BBCH 65 (05.05.2022r.)
Fot. 2. ‘Ruben’- początek kwitnienia, BBCH 61 (05.05.2022r.)
Fot. 3. ‘Rolan’- przed pełnia kwitnienia, BBCH 65 (05.05.2022r.)
Fot. 4. ‘Rondom’- pełnia kwitnienia, BBCH 65 (05.05.2022r.)
Fot. 5. ‘Biały Triumf’- pełnia kwitnienia, BBCH 65 (05.05.2022r.)
Szkodniki:
- Wielkopąkowiec porzeczkowy – na plantacjach porzeczki czerwonej i czarnej, gdzie stwierdzono obecność szkodnika, w fazie od początku do pełni kwitnienia (BBCH 60-65) wykonać zabieg akarycydem zawierającym fenpiroksymat, natomiast na plantacjach porzeczki czarnej, czerwonej i białej w okresie po kwitnieniu (od BBCH 69) celowym będzie zabieg praparatem Movento w dawce 0,75 l/ha.
- Zwójka różóweczka (obecnie brak zagrożenia) – od początku kwitnienia do zbioru owoców co 2 tygodnie wykonywać lustrację prowadzić lustracje – próg zagrożenia wynosi 10% wierzchołków pędów z uszkodzonymi liśćmi spośród próby 200 wierzchołków pędów. Po przekroczeniu progu zagrożenia zabieg jednym ze środków opartych na acetamiprydzie (z dodatkiem adiuwanta Slippa) – (porzeczka czarna i czerwona).
- Przędziorek chmielowiec (obecnie brak zagrożenia) – wykonać pierwszą lustrację i powtarzać je co 1–2 tygodnie, próg zagrożenia przed kwitnieniem porzeczki to 1–2 sztuki form ruchomych na liść z próby 200 losowo zebranych liści. Po przekroczeniu progu zagrożenia zabieg – preparatem zawierającym fenpiroksymat, w fazie BBCH 60-65 (zarejestrowany w porzeczce czarnej i czerwonej oraz agreście), natomiast na plantacjach agrestu, porzeczki czarnej, czerwonej i białej w okresie po kwitnieniu (od BBCH 69) zabieg praparatem Movento w dawce 0,75 l/ha. Alternatywnym zabiegiem niezwłocznie po pojawieniu się pierwszych objawów występowania szkodników, od fazy rozwoju liści, do fazy gdy owoce są dojrzałe do konsumpcji (BBCH 10-89) jest zabieg preparatem Fitter w stężeniu 1%, ilość wody 400–1000 l/ha. Oprysk należy wykonać po trzy zabiegi w odstępach 7-dniowych.
- Mszyce (obecnie brak zagrożenia na agreście i porzeczkach czarnych, pojawiają się pierwsze objawy na porzeczkach czerwonych) – Od początku kwitnienia do zbioru owoców co 2 tygodnie wykonywać lustrację – próg zagrożenia wynosi 10% zasiedlonych pędów z próby 200 sztuk. Po przekroczeniu progu zagrożenia zastosować jeden ze środków opartych o acetamipryd (łącznie z adiuwantem). Natomiast niezwłocznie po pojawieniu się pierwszych objawów występowania szkodników BBCH 10-89 na plantacjach porzeczki czarnej i czerwonej zastosować preparat Fitter w stężeniu 1%, ilość wody 400–1000 l/ha. Oprysk należy wykonać po trzy zabiegi w odstępach 7-dniowych. Po okresie kwitnienia zalecany jest zabieg praparatem Movento w dawce 0,75 l/ha.
Na plantacjach należy wywiesić pułapki feromonowe do odłowu przeziernika porzeczkowca.
Fot. 6. Objawy żerowania wielkopąkowca porzeczkowego na pędach porzeczki czerwone, (05.05.2022r.)
Fot. 7. Objawy żerowania mszycy porzeczkowo-czyściecowej na liściach porzeczki czerwonej odmiany ‘Rondom’, (05.05.2022r.)
Choroby:
- Antraknoza (opadzina liści) porzeczki, amerykański mączniak agrestu (obecnie nie stwierdzono objawów) – w fazie kwitnienia Zato 50 WG (w dawce 0,2 kg/ha), Luna Sensation 500 SC w dawce 0,6–0,8 l/ha (porzeczka czarna i czerwona).
- Szara pleśń – Luna Sensation 500 SC – stosować zapobiegawczo lub od pierwszych objawów choroby, od początku kwitnienia do zbiorów owoców (BBCH 39-87), w dawce 0,6–0,8 l/ha lub Teldor 500 SC w dawce 1,5 l/ha, Serenade ASO – stosować zapobiegawczo od fazy przed kwitnieniem do końca fazy zaawansowanego dojrzewania owoców (BBCH 51-85), w dawce 8 l/ha.
ARONIA
Na aronii pojawiają się kwiatostany (faza BBCH 55 – czyli są widoczne pierwsze pąki kwiatowe, w postaci zbitego grona, obok rozwiniętych liści). Na plantacjach należy przeprowadzić lustrację pod kątem obecności mszyc oraz gąsienic omacnicy jarzębianki (Trachycera advenella). Jest to termin, kiedy gąsienice omacnicy jarzębianki po przezimowaniu i opuszczeniu kryjówek przemieszczają się do otwierających się pąków, a następnie kwiatostanów. Gąsienice uszkadzają liście, pąki kwiatostanowe, a także zawiązki i dojrzałe owoce. Żerują w kwiatostanach do kwitnienia, wcześniej oprzędzając je ściśle przędzą. W kwiatostanach można znaleźć czarne odchody gąsienic. Zasiedlenie kwiatostanów do poziomu 10% nie stwarza zagrożenia dla plonu, straty następują powyżej 20% zasiedlonych kwiatostanów. Gąsienice o długości do 12 mm mają jaskrawozieloną barwę z dwoma wyraźnymi pasami grzbietowymi. Zaniepokojone cofają się, wykonując przy tym wężowate ruchy i opuszczają się na nitce przędzy. Pod koniec pierwszej dekady maja część gąsienic schodzi do gleby na przepoczwarczenie, które trwa około miesiąca. Loty motyli trwają od końca czerwca do pierwszych dni sierpnia i odbywają się nocą. Podczas dnia ukrywają się na pędach aronii. Są prawie niewidoczne, dzięki niepozornemu zabarwieniu i niewielkim rozmiarom. Samice składają jaja w zagłębieniu kielichowym na niedojrzałych owocach, pod resztkami okwiatu. Wylęgłe gąsienice są jasnożółte do 1 mm długości, a ich rozwój trwa około tygodnia. Po opuszczeniu owoców schodzą na przezimowanie.
Szkodniki:
- Omacnica jarzębianka – po stwierdzeniu obecności szkodnika wykonać zabieg środkiem Decis Mega 50 EW w dawce 0,25 l/ha.
- Mszyce (obecnie brak zagrożenia) – od początku kwitnienia do zbioru owoców co 2 tygodnie wykonywać lustrację - próg zagrożenia wynosi 10% zasiedlonych pędów z próby 200 sztuk. Po przekroczeniu progu zagrożenia zastosować po kwitnieniu zabieg Movento w dawce 0,75 l/ha lub Decis Mega 50 EW w dawce 0,25 l/ha. W okresie kwitnienia poza okresami aktywnosci pszczół można zastosować Fitter w stężeniu 1%, ilość wody 400–1000 l/ha Oprysk tym insektycydem należy wykonać po trzy zabiegi w odstępach 7-dniowych.
Choroby:
- Szara pleśń – Luna Sensation 500 SC – stosować zapobiegawczo lub od pierwszych objawów choroby, od początku kwitnienia do zbiorów owoców (BBCH 39-87), w dawce 0,6–0,8 l/ha, Serenade ASO – stosować zapobiegawczo od fazy przed kwitnieniem do końca fazy zaawansowanego dojrzewania owoców (BBCH 51-85), w dawce 8 l/ha
Fot. 8. Aronia - BBCH 55 (05.05.2022r.)
Fot. 9. Oprzędzony przez gąsienicę omacnicy jarzębianki kwiatostan oraz jej odchody (05.05.2022r.)
Fot. 10. Gąsienica omacnicy jarzębianki (05.05.2022r.)
