Intensywne sady jabłoniowe (fot. 2) charakteryzują się m.in.: dużym zagęszczeniem drzew, użyciem podkładek karłowych i półkarłowych, tzw. „płytkim sadzeniem” (miejsce okulizacji wysoko nad powierzchnią gleby), luźnym prowadzeniem koron umożliwiającym ich dobre doświetlenie (korony stożkowe, wrzecionowe, osiowe), stabilnymi konstrukcjami wspierającymi oraz stosowaniem mechanicznego cięcia. Takie sady zazwyczaj są wysoko produktywne, jakość prawidłowo wyrośniętych i wybarwionych owoców jest wysoka, a owocowanie stabilne i coroczne. Do trzeciego lub czwartego roku po posadzeniu drzewek, nie ma zazwyczaj problemu z dostatecznym doświetleniem wnętrza ich koron w dolnych i środkowych partiach (fot. 3). W kolejnych latach problem ten narasta, szczególnie w latach braku owocowania (np. po przemarznięciu, gradobiciu czy wskutek przemienności owocowania). Uzyskanie i utrzymanie fizjologicznej równowagi pomiędzy wzrostem i owocowaniem drzew, warunkuje ich spokojny wzrost oraz regularne i obfite owocowanie. Wtedy wzrost drzew jest umiarkowany i nie wymagają one wiele pracy podczas cięcia zimą i latem. Jeżeli rosną zbyt silnie, można podcinać im korzenie lub nacinać pnie. Zabiegi te znacząco ograniczają wzrost wegetatywny drzew. Bywa, że cięcie letnie jest po nich zbędne lub wymagane tylko w nieznacznym stopniu (usunięcie kilku pędów wyrastających na obwodzie i w głębi korony). Sady o luźnych koronach są mniej podatne na choroby i mniej chętnie zasiedlane przez szkodniki, ponieważ są „przewiewne”.
Cel
W przypadku cięcia letniego jest nim zmniejszenie miąższości korony, aby doświetlić owoce w jej wnętrzu (fot. 4), co z kolei skutkuje ich lepszym wybarwieniem. Aby wprowadzić do wnętrza koron więcej światła, można pod nimi wyłożyć folię odbijającą światło. Takie zabiegi stosują sadownicy w Nowej Zelandii i USA, a próby podejmowane są w zachodniej i południowej Europie. Dobrze doświetlone owoce mają intensywny rumieniec oraz szybciej osiągają optymalne rozmiary. Ich miąższ zawiera więcej cukrów, ma lepszy smak w porównaniu z owocami niedostatecznie doświetlonymi.
Cięcia letniego wymagają jabłonie odmian o owocach z czerwonym rumieńcem oraz o żółtym lub zielonym kolorze skórki (np. ‘Mutsu’, ‘Golden Delicious Reinders’). Owoce, do których dociera niewiele światła słonecznego mają bardzo delikatną skórkę, która jest podatna na infekcje (np. parcha jabłoni), choroby fizjologiczne ujawniające się w sadzie lub podczas ich przechowywania (np. gorzka plamistość podskórna, fot. 5). W zagęszczonych koronach panuje większa wilgotność powietrza, co sprzyja powstawaniu delikatnych pęknięć i ran na skórce owocu, prowadzących do powstawania skorkowaceń i ordzawień, a nawet plam gnilnych. Dzięki letniemu cięciu możliwe jest:
- uzyskanie odpowiedniej wielkości i jakości owoców (barwa zasadnicza skórki, rumieniec, odpowiedni smak i jędrność oraz tekstura miąższu);
- coroczne i regularne owocowanie poprzez tworzenie pąków kwiatowych i owocowanie w całej koronie drzewa.
Dla prawidłowego tworzenia pąków kwiatowych potrzeba przynajmniej 30–40% światła słonecznego docierającego do zewnętrznych partii korony (fot. 6). Dla uzyskania pożądanej wielkości owoców potrzeba już 50% światła, a w celu uzyskania zadowalającego rumieńca na owocach – powyżej 65–70% światła. Aby spełnić ten warunek, należy tak przeprowadzić letnie cięcie, aby patrząc na drzewo po tym zabiegu, widzieć na nim prawie wszystkie owoce. Cięcie letnie dzięki poprawie doświetlenia owoców i liści, wpływa korzystnie na sprawność fotosyntetyczną roślin.
Bez oparzeń
Aby owoce dobrze wybarwiły się nie muszą być całkowicie odsłonięte, ponieważ wówczas wzrasta ryzyko powstania oparzeń słonecznych (fot. 7). Niewielkie cieniowanie jest nawet wskazane z uwagi na silną operację słońca w okresie ich dojrzewania, szczególnie, że w ostatnich latach na skutek ocieplenia klimatu jest ona coraz bardziej intensywna.
Termin
Odmiana i termin zbioru jabłek warunkują termin letniego cięcia jabłoni. Można przeprowadzić je wówczas, gdy drzewa zakończą już wzrost wegetatywny, ponieważ zmniejsza to ryzyko wtórnego ich wzrostu. Pamiętać jednak należy, że na wytworzenie rumieńca potrzeba około dwóch do trzech tygodni, zatem termin cięcia drzew należy tak zaplanować, aby spełnić ten warunek indywidualnie dla każdej z odmian.
W przypadku odmian wczesnych, letnie cięcie dobrze jest rozpocząć pod koniec czerwca lub w lipcu, odmian średniowczesnych – w sierpniu (zwykle na 3 lub 4 tygodnie przed zbiorem owoców), a zimowych – w sierpniu lub na początku września. Przeprowadzone zbyt wcześnie może nie przynieść spodziewanego efektu, a drzewa mogą ponownie zacząć rosnąć (fot. 8). Takie wtórnie wyrosłe pędy są bardzo podatne na choroby i szkodniki oraz niepotrzebnie zagęszczają korony drzew. Niektórzy sadownicy tną wówczas drzewa ponownie celem usunięcia tych pędów. Taki wtórny wzrost negatywnie wpływa na wyrastanie owoców, ponieważ silnie rosnące pędy wygrywają konkurencję o wodę i składniki pokarmowe. Cięcie zbyt późne (koniec września, początek października), nie spełni swojego celu, ponieważ ma ograniczony wpływ na wybarwienie owoców, może także skutkować obniżeniem wytrzymałości drzew na mróz.
Zasady i technika
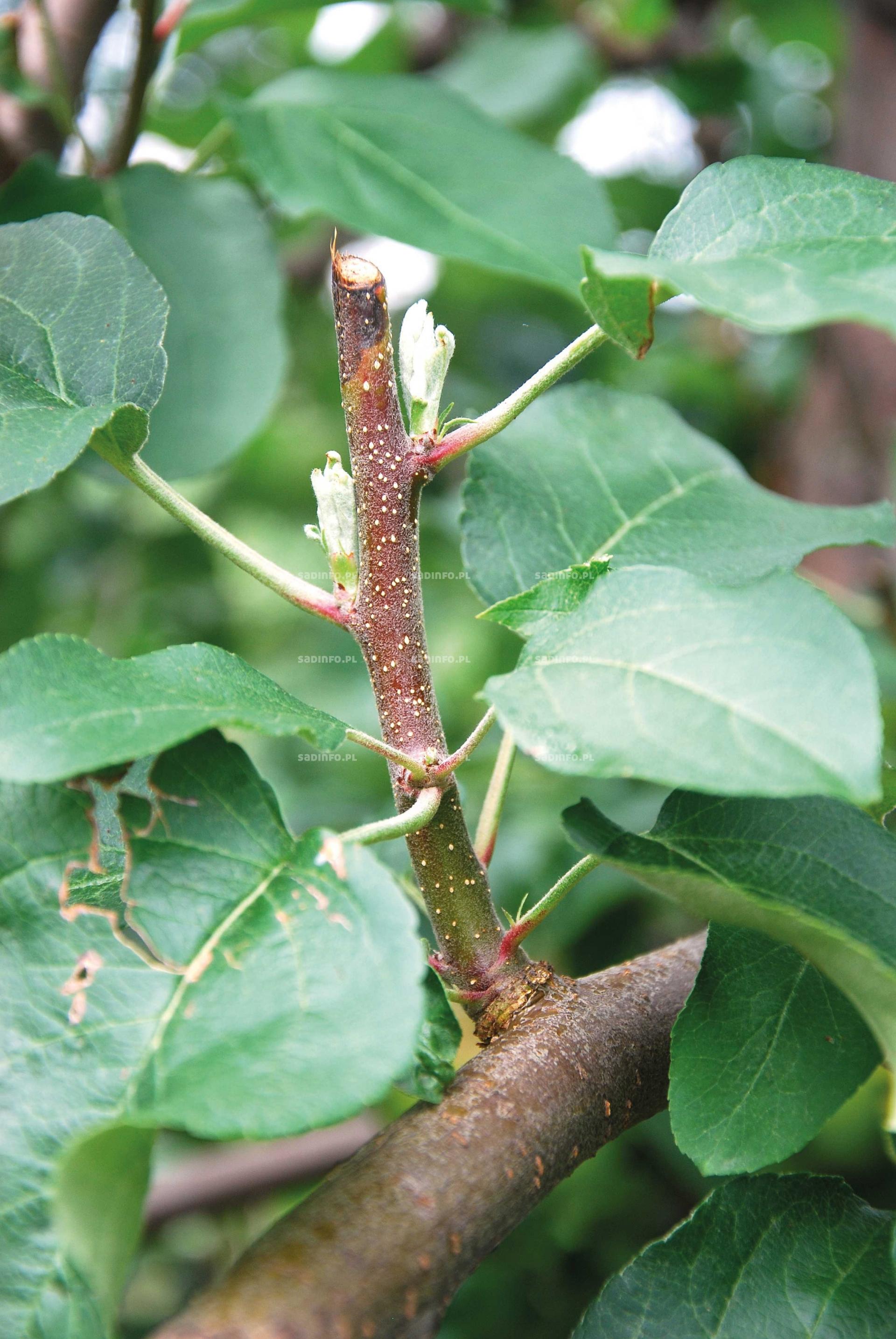
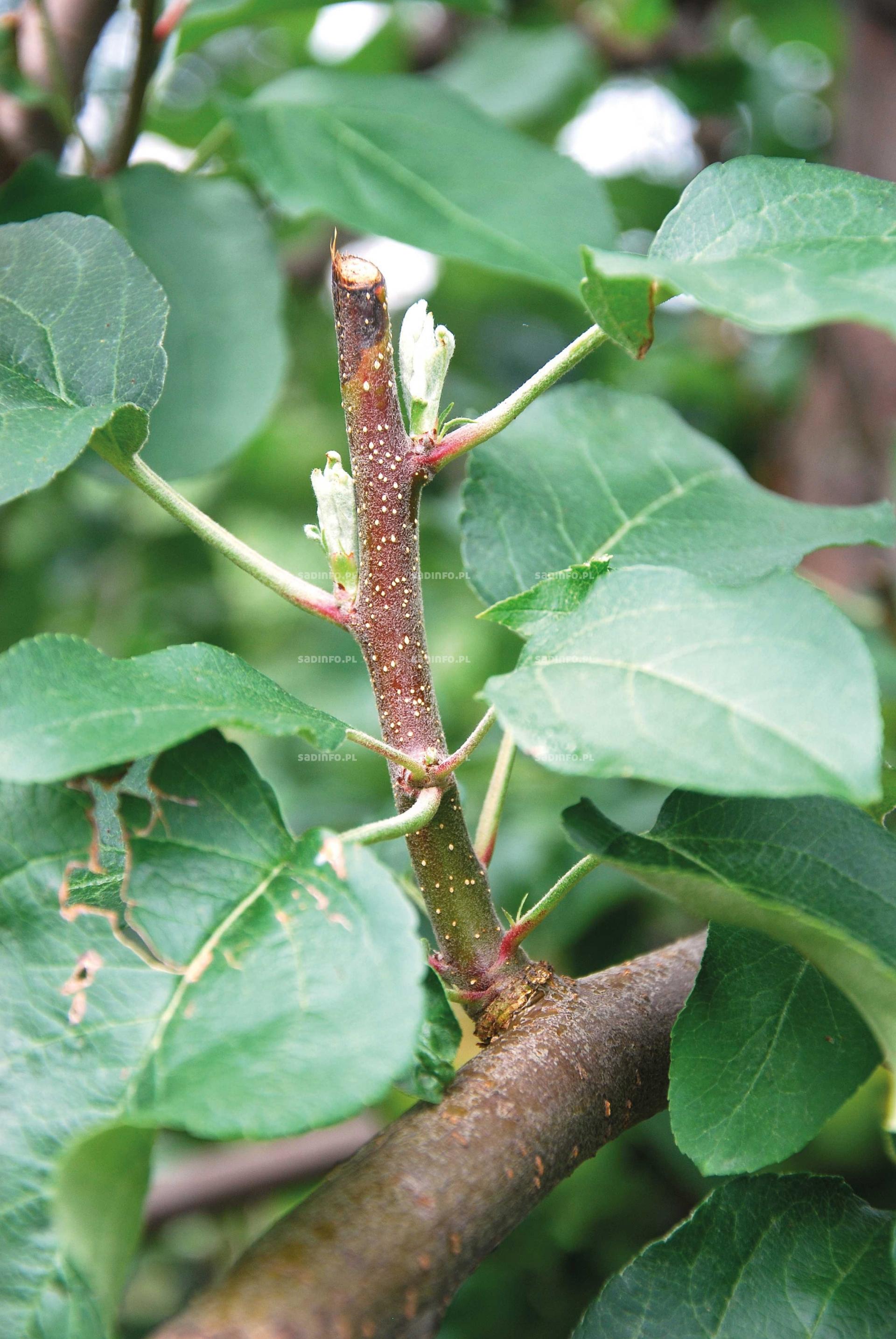
Podczas letniego cięcia jabłoni wyciąć należy zbyt silne pędy wegetatywne (długopędy), szczególnie te wyrastające z pąków śpiących na pniu i grubych konarach we wnętrzu korony (tzw. wilki). Pozostawia się pędy słabiej rosnące i krótkopędy. Jeśli nad owocami znajdują się silne pędy wegetatywne, to wycinając je należy pozostawić odcinek z dwoma lub trzema liśćmi (fot. 9). Jeżeli wyrasta dużo silnych pędów jednorocznych, część z nich może być wycięta lub wyrwana u podstawy w taki sposób, aby nie zrzucić ani uszkodzić rosnących owoców. Niepotrzebne pędy wegetatywne na obwodzie koron także należy usunąć, ponieważ konkurują o wodę i składniki pokarmowe (głównie o wapń) z dojrzewającymi jabłkami, co prowadzi do chorób fizjologicznych. Tylko liście z krótkopędów wyrastających obok owoców odżywiają je.
Wymogi poprawności
Do letniego (ale i zimowego) cięcia drzew, należy używać dobrze naostrzonego sekatora, najlepiej z przedłużanymi rączkami lub dwuręcznego. Ostrza i przeciwostrza muszą być dobrze dokręcone. Źle naostrzony i słabo skręcony sekator utrudni cięcie, ponieważ będzie szarpał, a nie ciął pędy, a nawet może spowodować strząsanie owoców, które spadając uszkodzą te położone niżej. Należy uważać także, aby ostrzami sekatora nie kaleczyć jabłek.
Cięcie można rozpoczynać od górnych lub od dolnych partii drzew. Obcięte pędy należy odrzucić w międzyrzędzie. W partii wierzchołkowej drzew nie należy wycinać pędów, chyba że utrudniają wykonanie zabiegów chemicznych. Chronią one owoce w tej części koron przed oparzeniami słonecznymi i gradem.
W trakcie cięcia letniego można usuwać chore gałęzie i owoce, aby ograniczyć źródło infekcji. Stojąc na ziemi można powycinać większość niepotrzebnych pędów nadmiernie zwisających, nawet gdy są na nich owoce. Przeszkadzają one w aplikacji herbicydów, koszeniu murawy, a jabłka schowane w chwastach nie wybarwiają się, są uszkadzane przez szkodniki i porażane przez choroby, które mogą ujawniać się podczas przechowywania.
Cięcie w obrębie wyższych partii drzew można wykonywać z platform, sanek sadowniczych, stojaków, drabinek, których konstrukcja musi zapewniać bezpieczeństwo osób na nich pracujących. Przed cięciem pracownicy powinni być poinformowani o zasadach bhp. Nawet gdy powyższe zasady są spełnione, cięcie letnie wymaga nadzoru i kontroli.
Pędy i gałązki zgromadzone w międzyrzędziach należy rozdrobnić kosiarką podczas koszenia murawy.
Cięcie letnie w sadzie dobrze owocującym zwykle zajmuje 25–40 godzin pracy na hektar, a w sadach słabo plonujących (wegetatywnych) nawet powyżej 100 godzin/ha.
Najczęściej popełniane błędy podczas letniego cięcia:
- wycinanie zbyt dużej liczby pędów, co pobudza wtórny wzrost wegetatywny;
- zbyt silne skrócenie pędów wyrastających nad owocami (bezpośrednio nad nimi, fot. 10), czego skutkiem jest nadmierne odsłonięcie jabłek i wystąpienie oparzeń słonecznych, a także narażanie ich na uszkodzenie mechaniczne;
- pozostawianie nadmiaru pędów, które po skróceniu zbytnio zagęszczają korony;
- pozostawianie wyciętych pędów w obrębie koron;
- zrzucanie owoców;
- przeprowadzanie za wcześnie lub zbyt późno.
fot. 1–10 P. Gościło

