Groźne w skutkach gradobicie wystąpiło około dwóch godzin temu (7 czerwca 2020, około godziny 16.00) w miejscowości Świdno (pow. grójecki, gm. Mogielnica).
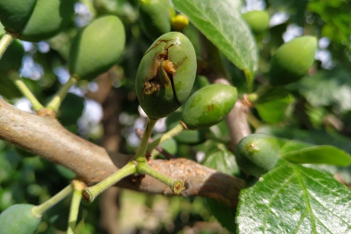
Zdjęcia pochodzą z jednego z poszkodowanych gospodarstw. Z relacji sadowników wynika, że tuż przed ulewą wystąpił opad drobnego gradu, potem obfity deszcz. W ciągu 20 minut spadło 18 mm. Po deszczu ponownie spadł grad, którego średnica dochodziła do 30 mm.
Niestety, gradziny wyrządziły wiele uszkodzeń. Na plantacjach truskawek trudno ocenić w tej chwili szkody, ale w sadach jabłoniowych jest wiele pociętych zawiązków.
Na południu, wschodzie i w centrum kraju powstały superkomórki burzowe. Każda z burz niesie ryzyko gradu do 1-4 cm, nawalnego deszczu do 10-50 mm oraz wiatru do 80 km/h.
Wystąpiło już kilka trąb powietrznych i te w dalszym ciągu mogą się pojawiać do samego wieczora. W najbliższych godzinach burz będzie przybywać.
Niestety, opady gradu z różnym natężeniem wystąpiły już dziś w wielu miejscowościach...

