Ostatnie burze lokalnie doprowadziły do infekcji parcha jabłoni. Dlatego strategię dalszej ochrony należy opierać na sumie opadu i terminie wykonania ostatniego zabiegu. Jakie zabiegi wykonać? Zalecenia z dnia 27.04.2024 przygotowane zostały przez Marcina Piesiewicza we współpracy z Andermatt Polska.
W ostatnich dniach wystąpiły opady o charakterze burzowym z różna intensywnością. Często na przestrzeni zaledwie kilkuset metrów, czy sąsiadujących miejscowości różnice w sumie opadów były znaczące, co widzimy w tabeli poniżej.
| Miejscowość | opad w mm |
| Dąbrowice | 26,0 |
| Stary Zambrzyków | 26,2 |
| Łęczeszyce | 0,2 |
| Brzozów Stary | 15,8 |
| Śmiłowice | 2,2 |
| Gośliny | 2,6 |
| Błędów/Bronisławówka | 0,4 |
| Stare Biskupice | 0,6 |
| Sobienie Kiełczewskie | 13,6 |
| Magierowa wola | 11,6 |
Jeżeli zabieg był wykonany 4 dni przed sobotnim lub niedzielnym opadem, wówczas kontynuujemy ochronę zapobiegawczą za pomocą produktów opartych na kaptanie. Jeżeli zabiegi wykonywane były wcześniej niż 5 dni przed opadami, należy zastosować mieszaninę kaptan + produkt zawierający difenokonazol.
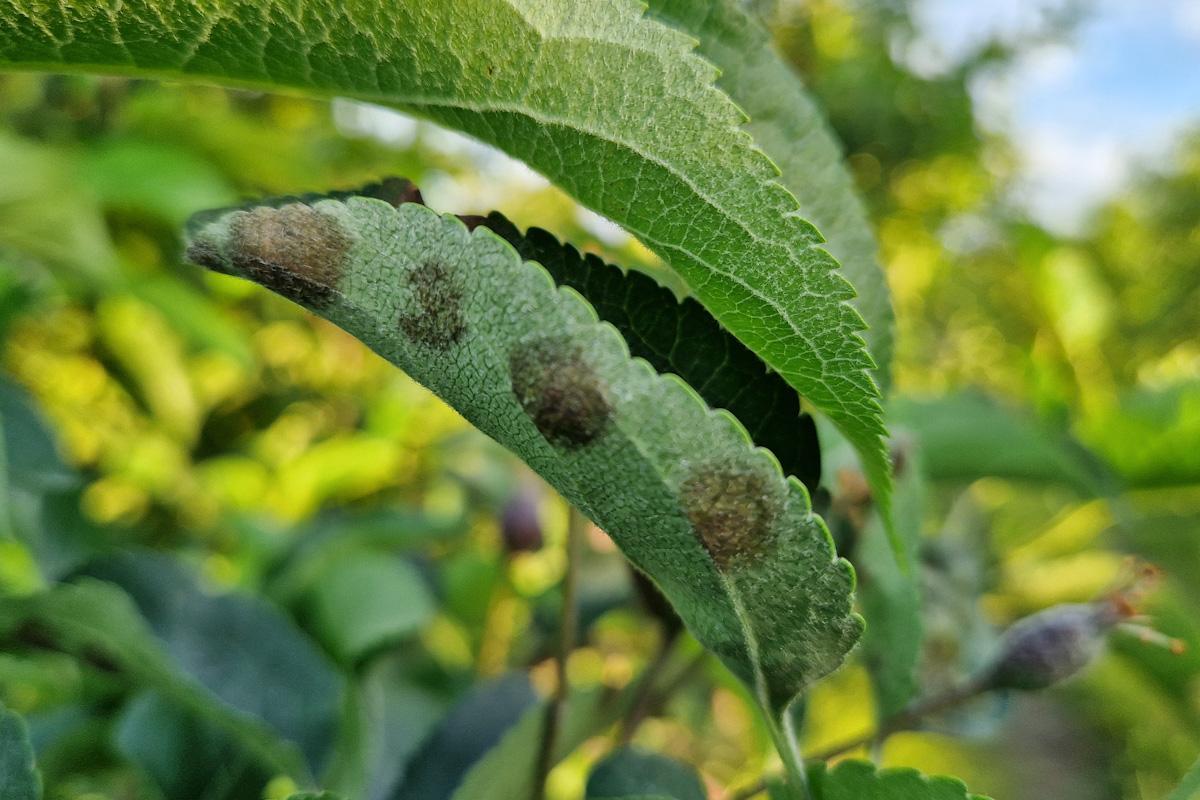
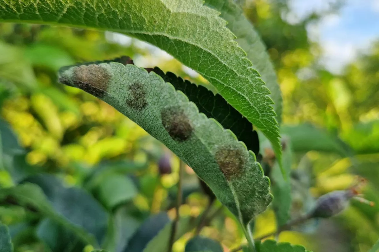
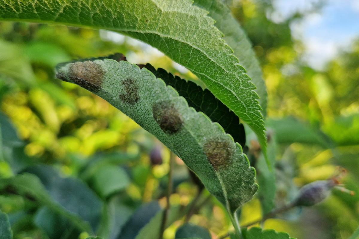
W niektórych sadach nadal pojawiają się plamy parcha. Powinniśmy wtedy zastosować program wyniszczający, czyli kaptan + difenokonazol. Należy pamiętać, że w przypadku gdy pojawią się plamy produkty zawierające ditianon zdecydowanie lepiej zabezpieczają przed rozprzestrzenianiem się choroby, ale wnosimy wówczas dodatkową substancję aktywną do palety pozostałości. Jeżeli mamy widoczne plamy możemy zastosować produkty oparte na wodorowęglanie potasu takie jak VitiSan® lub Vitiprotect®.
Informacje o ofercie firmy Andrematt dla sadowników znajdziecie pod tym linkiem: Produkcja roślinna – Andermatt Polska Sp. z o.o.
Ze środków ochrony roślin należy korzystać z zachowaniem bezpieczeństwa. Przed każdym użyciem przeczytaj informacje zamieszczone w etykiecie i informacje dotyczące produktu.

