IMGW-PIB opublikował komunikat informujący o możliwości pojawienia się w sadach mszycy brzoskwiniowej oraz mszycy jabłoniowej w terminie od 14.04. do 25.04.
Zaleca się monitorowanie upraw pod tym kątem.
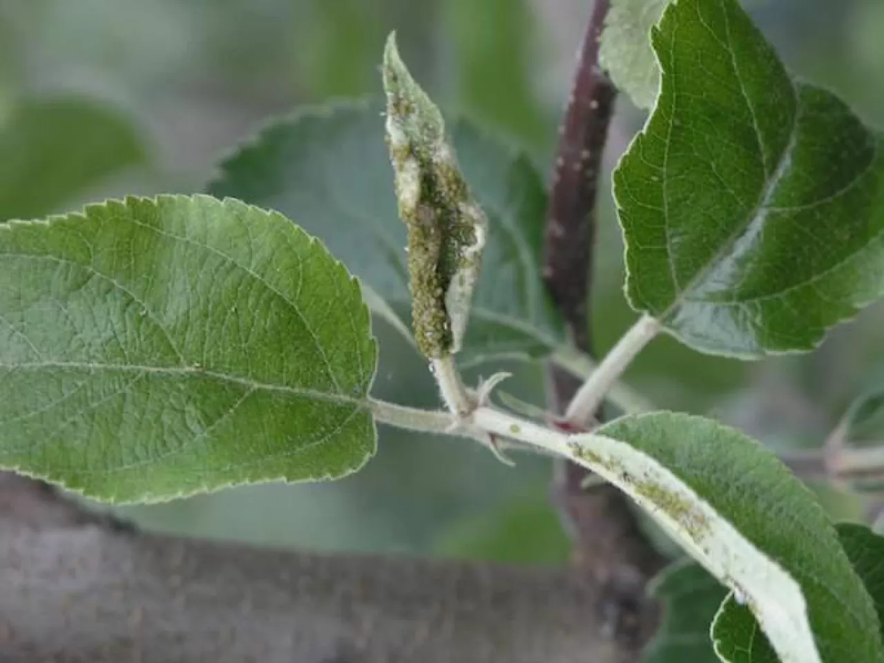
Mszyca jabłoniowa Aphis pomi
Mszyca występuje w dwóch formach. Mszyce bezskrzydłe o długości ciała 1,2-2,5 mm, z jasnozieloną ciemną głową. Forma uskrzydlona jest mniejsza, głowę i tułów ma ciemne, odwłok zielony. Jaja są czarne, matowe, pokryte substancją woskową. W ciągu roku może wystąpić nawet 20 pokoleń. W poszczególnych pokoleniach część owadów jest uskrzydlona i migruje na sąsiednie pędy i drzewa. Kolonie mszycy tworzą się na niezdrewniałych wierzchołkach pędów i na dolnej stronie najmłodszych liści. Żerowanie mszycy powoduje zwijanie się liści oraz skręcanie całych wierzchołków pędów. Mszyca wydala duże ilości słodkich, lepkich odchodów, zwanych rosą miodową lub spadzią, która zanieczyszcza pędy i owoce. Owoce pokryte są czarnym nalotem grzybów sadzakowych, rozwijających się na wydalinach mszycy.
Mszyca brzoskwiniowa Myzus persicae
Forma pierwsza nie ma skrzydeł i może mieć kolor zielony, zielonożółty lub też różowy. Osiągają długość od 1,8 do 3 mm. Uskrzydlone mszyce mają czarną główkę i tułów, a na odwłoku dużą, ciemną plamę. Żerowanie objawia się skręcaniem i żółknięciem liści, a przy intensywnym żerowaniu zasychają całkowicie. Pędy, które ulegają porażeniu przestają rosnąć, stają się wrażliwsze na mróz. W czasie sezonu wegetacyjnego na brzoskwini rozwijają się trzy pokolenia mszyc. Masowemu pojawieniu się mszyc sprzyja ciepła, wilgotna pogoda oraz wczesna wiosna. W czasie pękania pąków ze złożonych przez mszyce jaj wylęgają się larwy, które żerują na młodych liściach. W połowie maja mszyce zmieniają żywiciela na ziemniaki. Na jesieni wracają na brzoskwinie.
Maciej Kania
Źródło: komunikat IMGW-PIB
