StoryEditor
Duża presja mączniaka jabłoni 2020 – dobry czas na zabiegi
Presja mączniaka prawdziwego jabłoni jest w tym sezonie wyjątkowo silna. Na tę chorobę skarży się wielu sadowników, zwłaszcza ci, którzy uprawiają podatne odmiany jabłoni.
Presja mączniaka prawdziwego jabłoni jest w tym sezonie wyjątkowo silna. Na tę chorobę skarży się wielu sadowników, zwłaszcza ci, którzy uprawiają podatne odmiany jabłoni.
Presja choroby na odmianach podatnych jest w tym roku wyjątkowo duża. Przyczyniła się do tego między innymi łagodna zima. W zwalczaniu mączniaka decydujące są zabiegi przed kwitnieniem jabłoni. Dochodzi wówczas do pierwszych infekcji. Wiele zależy od tego czy zbiegi zostały w tym czasie wykonane i czy były skuteczne. Zaniechanie skutkuje nasileniem choroby, której objawy obecnie obserwujemy w niektórych sadach. W zależności od przebiegu warunków pogodowych do infekcji wtórnych dochodzi od końca maja do końca czerwca.
Po pogodowych zawirowaniach i przelotnych deszczach wielu sadowników dziś wykonywało zabiegi zwalczające. Wielu sadowników wypatrywało możliwości wykonania zabiegu już bardzo długo, z tego względu, że sytuację komplikowały częste opady deszczu i wiatr. Dzisiejsza, poniedziałkowa pogoda sprzyjała. Było ciepło i co najważniejsze, niemal bezwietrznie. Temperatura powyżej 12 stopni, a to wraz z częściowym zachmurzeniem dawało dziś niemal idealne warunki do zabiegów preparatami grzybobójczymi przeznaczonymi do walki z mączniakiem.
W sadach, gdzie udało się wiosną zatrzymać zagrożenie ze strony mączniaka, można wykonać zabieg zapobiegawczy preparatem strobilurynowym. Niestety, w sadach, gdzie presja jest bardzo duża, najrozsądniejszym działaniem byłoby wycięcie porażonych pędów, które będą infekować. W obecnej fazie rozwoju, zaleca się preparaty układowo-kontaktowe lub układowe głównie z grupy IBE. Bardzo ważne, aby nie zapominać o rotacji fungicydów z różnych grup chemicznych o innym mechanizmie działania.
Niestety pogoda nie jest sprzymierzeńcem sadowników. Ostatnie dwa ciepłe i suche lata bardzo sprzyjały rozwojowi choroby. Presje grzyba powodującego mączniaka zmniejszyłyby mroźnie zimy ze spadkami temperatur poniżej -25 stopni Celsjusza, a takich niestety nie mamy od kilku lat.
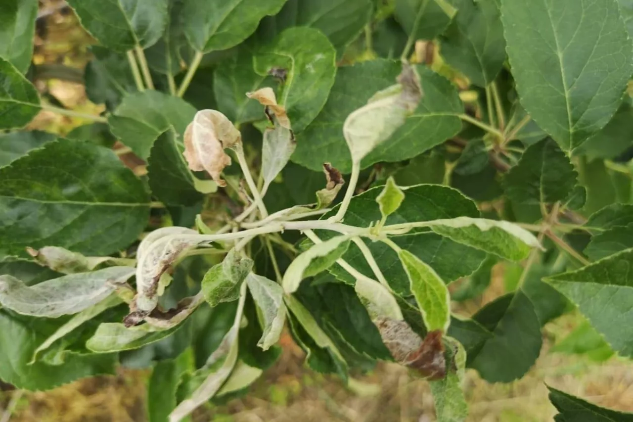
Choroba ta jest bardzo łatwa do zauważenia i zdiagnozowania. Porażone liście pokrywa charakterystyczny, mączysty nalot grzybni. Zainfekowane liście zwijają się i przedwcześnie opadają. Pędy przestają rosnąć, a te najmocniej zainfekowane zamierają. Bardzo podatny na mączniaka jest Idared. Warto również wspomnieć o odmianach Lobo i Alwa, na których można obecnie również zauważyć silną presje choroby.
ARTYKUŁY Z KATEGORII
NAJNOWSZE NEWSY

