To kolejny z rzędu rok, kiedy liczebność mszyc w sadach jabłoniowych jest zatrważająca. Ten stan obserwuje się od bardzo wczesnej wiosny, a obecnie populacje są tak duże, że tylko insektycydami układowymi można próbować z nimi walczyć, gdyż ich kolonie ukryte są szczelnie w zwiniętych, zdeformowanych organach – liściach i wierzchołkach pędów (fot. 1, 2, 3, 4). W takich sytuacjach insektycydami powierzchniowymi, kontaktowymi niewiele zdziałamy.
fot. powyżej: Współrzędne występowanie mszycy jabłoniowo-babkowej oraz mszycy jabłoniowo-zbożowej (wydłużona, zielona, z ciemnozielonymi smugami wzdłużnymi)
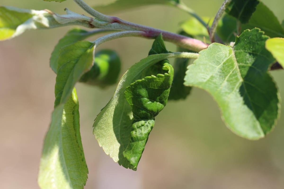
W małopolskich sadach występują liczne populacje mszycy jabłoniowo-babkowej z dużym potencjałem rozrodczym (fot. 5). Obecna jest także mszyca jabłoniowo-zbożowa żerująca na pędach (fot. 6) lub na liściu o brzegach zwiniętych ku nerwowi głównemu (fot. 7). Zaobserwować można także mszycę jabłoniową (fot. 8). Zarówno jabłoniowo-zbożowa, jak i jabłoniowa – żerują w koloniach na pędach, które nie ulegają deformacji, (szkodnik doprowadza wysysając soki do ogłodzenia roślin), a także często gromadzą się wysysając soki z nerwu głównego zasiedlonego liścia. Bardzo groźne są kolonie „mieszane” – jednocześnie w zwiniętych liściach na skutek działania enzymów wprowadzonych do tkanek roślinnych w ślinie żerującej mszycy jabłoniowo-babkowej współrzędnie występuje mszyca jabłoniowo-zbożowa (fot. 9). Na jabłoniach widoczne są także zdeformowane liście przebarwione na czerwono lub karminowo (fot. 10) – to efekt obecności żerującej mszycy jabłoniowo-szczawiowej.
Bez względu na to czy są to kilkuletnie sady, czy wprost nowe nasadzenia – szkodników tych jest naprawdę bardzo dużo. Konieczna jest niezwłoczna lustracja sadów i rozpoczęcie walki z tymi pluskwiakami za pomocą środków wgłębnych lub układowych – aby nie doszło do nadmiernej rozbudowy kolonii. Decyzję, czy wystarczą insektycydy wgłębne czy należy już sięgnąć po układowe zostawiamy sadownikom, a zależeć ona będzie od nasilenia zasiedlenia sadu. Jeśli będziemy zwlekać z zabiegiem, wówczas będziemy na przegranej pozycji, gdy kolonie mszyc rozbudują się jeszcze bardziej.
Żerowanie mszyc prowadzi do osłabienia roślin, zaburzenia wzrostu i rozwoju pędów – co może się odbić na zaburzeniu pokroju korony drzewa. Zdeformowana czy przebarwiona powierzchnia (na skutek działania enzymów wydzielanych do tkanek roślinnych podczas żerowania mszyc) wyeliminowana jest z fotosyntezy, przez co dochodzi do pogorszenia plonowania. Mszyca jabłoniowo-babkowa poza powyżej opisanymi szkodami bezpośrednimi przyczynia się także do deformacji zawiązków owoców, które w efekcie tracą wszelkie wartości w tym, jeśli w ogóle dorosną, nie stanowią towaru handlowego.
Autor: Katarzyna Kupczak

